75th Street , GAINESVILLE, FL 32608
Active
Property Photos
Would you like to sell your home before you purchase this one?
Priced at Only: $1,188,000
For more Information Call:
Address: 75th Street , GAINESVILLE, FL 32608
Property Location and Similar Properties
- MLS#: GC537041 ( Residential )
- Street Address: 75th Street
- Viewed: 15
- Price: $1,188,000
- Price sqft: $0
- Waterfront: No
- Year Built: Not Available
- Bldg sqft: 0
- Garage / Parking Spaces: 3
- Days On Market: 88
- Additional Information
- Geolocation: 29.5955 / -82.4217
- County: ALACHUA
- City: GAINESVILLE
- Zipcode: 32608
- Provided by: BHHS Florida Properties
- Contact: SUSAN ORNECK
- 727-799-2227

- DMCA Notice
-
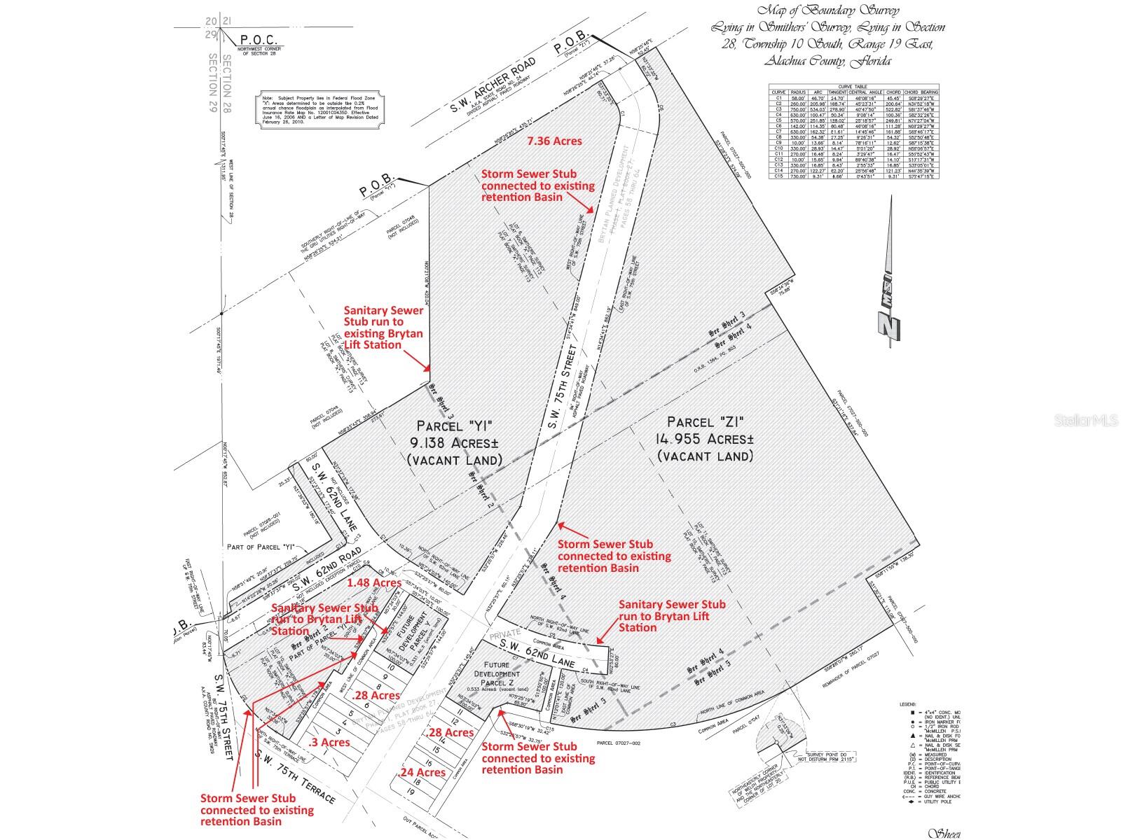
DescriptionThis offering consists of approximately 1 acre, identified as Parcel F in the attached exhibit. Additional contiguous acreage is available and may be purchased separately from the seller. This is an outstanding mixed use commercial development opportunity located at the high traffic SW corner of Archer Road and Tower Road. The site is ideal for townhomes, condominiums, and apartment rentals. The property can be subdivided for tonwhomes. The site has the following infrastructure already built: major roads, stormwater basins, sewer lift station, water, electric, gas, and fiber optic internet already in placesignificantly reducing development costs and timelines. Traffic counts include approximately 30,000 AADT on Archer Road and 17,500 AADT on Tower Road, providing excellent exposure and access. Located just 2.5 miles from the I 75 interchange, the property benefits from strong regional connectivity. The surrounding area is anchored by dense and expanding residential development, including the Brytan PD and Grand Preserve PD, encompassing approximately 200 acres, with 300,000 SF of commercial space and 940 homes planned. The trade area includes 135,383 residents and 52,948 households within a 15 minute drive, supporting long term tenant demand and investor returns. Listing agent is related to the seller.
Payment Calculator
- Principal & Interest -
- Property Tax $
- Home Insurance $
- HOA Fees $
- Monthly -
For a Fast & FREE Mortgage Pre-Approval
Apply Now
Apply NowFeatures
Building and Construction
- Covered Spaces: 0.00
- Exterior Features: Lighting, Sliding Doors
- Fencing: Fenced
- Flooring: Tile, Wood
- Living Area: 2327.00
- Roof: Tile
Land Information
- Lot Features: Cul-De-Sac, In County, Level, Oversized Lot, Sidewalk, Paved
School Information
- High School: J.W. Mitchell High-PO
- Middle School: Seven Springs Middle-PO
- School Elementary: Trinity Elementary-PO
Garage and Parking
- Garage Spaces: 3.00
- Open Parking Spaces: 0.00
Eco-Communities
- Water Source: Well
Utilities
- Carport Spaces: 0.00
- Cooling: Central Air
- Heating: Central, Natural Gas
- Pets Allowed: Yes
- Sewer: Public Sewer
- Utilities: Cable Available, Electricity Connected, Fire Hydrant, Gas, Private, Street Lights
Amenities
- Association Amenities: Gated, Park
Finance and Tax Information
- Home Owners Association Fee Includes: Private Road
- Home Owners Association Fee: 174.00
- Insurance Expense: 0.00
- Net Operating Income: 0.00
- Other Expense: 0.00
- Tax Year: 2011
Other Features
- Accessibility Features: Customized Wheelchair Accessible
- Appliances: Dishwasher, Disposal, Dryer, Oven, Refrigerator, Washer
- Association Name: Resource Property Mgmt 727-796-5900 Melrose Mgmt
- Interior Features: Attic, Cathedral Ceiling(s), Eat-in Kitchen, High Ceilings, L Dining, Living Room/Dining Room Combo, Master Bedroom Main Floor, Open Floorplan, Split Bedroom, Vaulted Ceiling(s), Walk-In Closet(s), Window Treatments
- Legal Description: FOX WOOD PHASE ONE PB 34 PGS 54-70 LOT 41 OR 3815 PG 781 OR 6539 PG 1071 & OR 7724 PG 1595
- Levels: One
- Area Major: 34655 - New Port Richey/Seven Springs/Trinity
- Parcel Number: 36-26-16-0020-00000-0410
- Style: Ranch
- View: Trees/Woods
- Views: 15
- Zoning Code: MPUD
Similar Properties
Nearby Subdivisions
Arredondo Estates 1
Arrowhead
Belleview Gardens
Brytan Ph 1
Chestnut Village Ph Ii Pb 35 P
Country Club Estate Mcintosh G
Country Club Manor
Countryside @ University
Eloise Gardens
Eloise Gardens Ph 1
Fairway Estates In
Finley Woods Ph 1b
Garison Way Ph 1
Garison Way Ph 2
Greenleaf
Haile Forest
Haile Plantation
Haile Plantation Village Cente
Hammock Ridge
Haystack Rep
Hickory Forest 1st Add
Hp Katelyn Lane
Hphampstead Pk332540659
Idylwild South Serenola
Kenwood
Longleaf
Longleaf Village
Lugano
Lugano Ph 2 Pb 34 Pg 93
Madera Cluster Dev Ph 2
Mentone
Mentone Cluster Ph 6
Mentone Cluster Ph 8
Mentone Cluster Ph Ii
Oakmont
Oakmont Ph 1
Oakmont Ph 2 Pb 32 Pg 30
Oakmont Ph 3 Pb 35 Pg 60
Oakmont Ph 4 Pb 36 Pg 83
Oaks Preserve
Oaks Preserve Ph 1 Pb 37 Pg 66
Plantation Estates
Prairie Pointe
Ricelands Sub
Still Wind Cluster Ph 2
Thousand Oaks
Valwood
Wilds Plantation
Willow Oak Plantation
Windward Meadows
- The Dial Team
- Tropic Shores Realty
- Love Life
- Mobile: 561.201.4476
- dennisdialsells@gmail.com










